|
Filtres de recherche

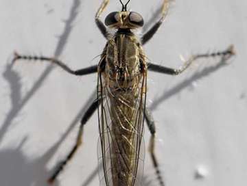
Philonicus albiceps (Meigen, 1820)

  • Arthropoda
  • Insecta
  • Diptera
  • Asilidae
4.0 | F. Chevaillot
Cette fiche espèce est générée automatiquement sur la base d'au moins une donnée de l'espèce partagée dans le SINP. Cette espèce ne bénéficie donc d'aucune consolidation experte concernant les statuts régionaux.

Répartition

Légende complète et détaillée

    Statuts nationaux (TAXREF v18.0)

  • Terrestre
  • Indigène ou indéterminé

    Statuts régionaux

  • Non évalué
  • Non évalué

Répartition

Carte présence
Légende complète et détaillée

Liens externes

Fiche nationale

Statuts réglementaires

Aucune réglementation ou protection n'est à ce jour en place pour cette espèce.

Autres statuts

Aucun statut de reconnaissance n'est disponible pour cette espèce.

Statuts de menace

Cette espèce n'a été évaluée dans aucune liste rouge.

Les données diffusées reflètent l’état d’avancement des connaissances partagées et disponibles dans le cadre de la mise en œuvre du SINP. Elles ne sauraient être considérées comme exhaustives. Ces données font l'objet d'un processus de validation. Les données considérées certaines ou probables sont diffusées, ainsi que celles pour lesquelles la méthode n'est pas applicable.

22

données

10

mailles 10x10km

11

communes

12

jeux de données

Cartes disponibles

Année d'observation

Gérer la transparence

Nombre de données par mois

Nombre de données par an

Couverture communale

Pourcentage de communes où l'espèce a été observée, par département

Charente-maritime

(17)

1.3%

Gironde

(33)

0.7%

Landes

(40)

0.3%